Хотите себе такой быстрый сайт? Вы можете купить у нас копию за 1000 USD (без базы данных), и тем самым помочь животным. Также можете арендовать песни для помощи животным. Пишите на почту support@catdog.by.
№52
На дачах "Белфа" Жлобинского района, Беларусь выбросили кошек (котятами - с виду 8 месяцев). Отобрал бы у всех дачи за такое. Для одной кошки требуется лечение (где-то месяц требуется) на 300-400 USD без учёта еды и возможной операции по ампутации. Там же 2 собаки тусуются (самец и самка, что означает плодильня смертников и угроза для этих кошек).
Если понравился, звоните +375 (25) 944-80-31, бесплатная доставка в любой город Республики Беларусь.
| Иные данные | |
| Статус животного | Имеет дом |
| Статус объявления | Не актуально |
| Описание животного | |
| Имя/Кличка | 52, Клевер |
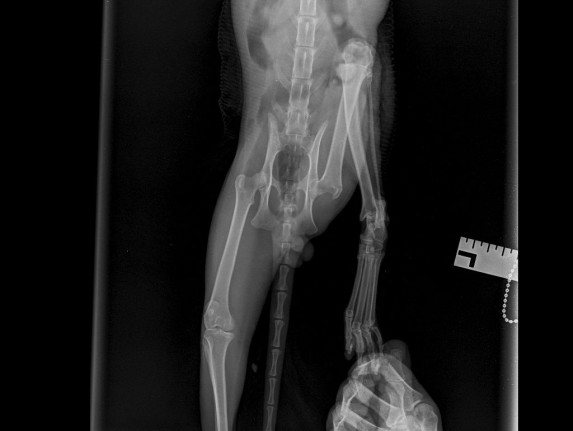
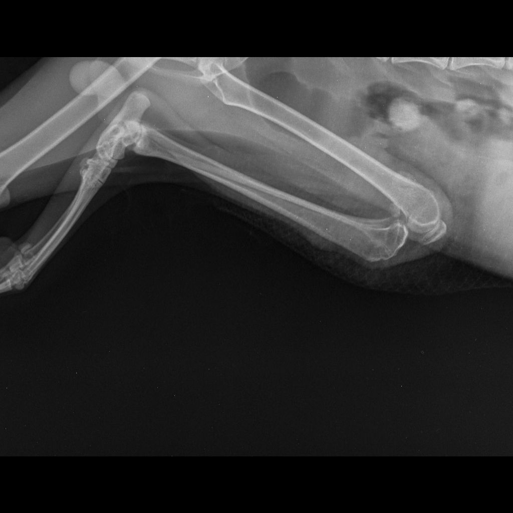
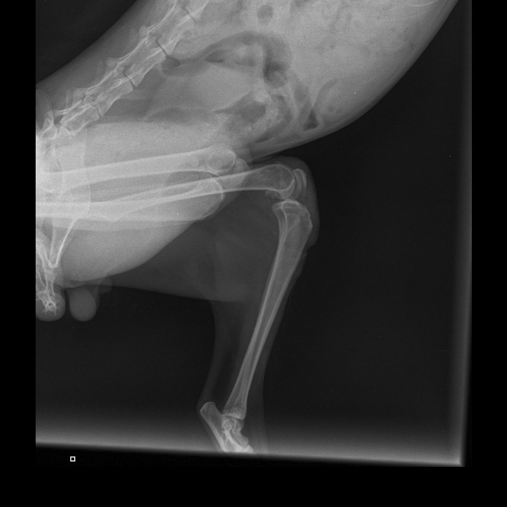
| История болезней/травм | 28.12.2025 - скальп кожи с бедра левой лапы и укол в колено. Где-то зацепился и потянул. Месяц так проходил, никто не помогал. Благодаря морозу заражения сильного не было. Обращение в ветклинику "КОТоПЁС": осмотр, стрижка, чистка раны солевым раствором, наложение повязки с лекарством (септо-спрей, бранолинд) и антибиотики (Кладакса, Марфлоксин) с обезболивающим, рентген. 29.12.2025 - Обращение в ветклинику "КОТоПЁС": осмотр, чистка раны солевым раствором, наложение повязки с лекарством (септо-спрей, бранолинд) и антибиотики с обезболивающим. 30.12.2026 - антибиотики. 31.12.2025 - Обращение в ветклинику "Эмили": чистка раны солевым раствором, наложение повязки с лекарством (септо-спрей, бранолинд) и антибиотики. 01.01.2026 - антибиотики. 02.01.2026 - чистка раны солевым раствором, наложение повязки с лекарством (септо-спрей, бранолинд) и антибиотики. 03.01.2026 - антибиотики. 04.01.2026 - Обращение в ветклинику "КОТоПЁС": осмотр, чистка раны солевым раствором, наложение повязки с лекарством (септо-спрей, бранолинд) и антибиотики, рентген. 05.01.2026 - антибиотики. 06.01.2026 - чистка раны солевым раствором, наложение повязки с лекарством (септо-спрей, бранолинд) и антибиотики. 07.01.2026 - антибиотики. 08.01.2026 - чистка раны солевым раствором, наложение повязки с лекарством (септо-спрей, бранолинд) и антибиотики. 10.01.2026 - Обращение в ветклинику "КОТоПЁС": осмотр, чистка раны солевым раствором, наложение повязки с лекарством (септо-спрей, бранолинд) и антибиотики. 11.01.2026 - антибиотики, глистогонка. 12.01.2026 - чистка раны солевым раствором, наложение повязки с лекарством (септо-спрей, бранолинд) и антибиотики. 13.01.2026 - чистка раны солевым раствором, наложение повязки с лекарством (септо-спрей, бранолинд) и антибиотики. 14.01.2026 - антибиотики. 15.01.2026 - антибиотики. 16.01.2026 - чистка раны солевым раствором, наложение повязки с лекарством (септо-спрей, бранолинд) и антибиотики. 17.01.2026 - антибиотики. 18.01.2026 - антибиотики. 19.01.2026 - чистка раны солевым раствором, наложение повязки с лекарством (септо-спрей, бранолинд) и антибиотики. 20.01.2026 - чистка раны солевым раствором, наложение повязки с лекарством (септо-спрей, Повязка мазевая Исполнение-Д4 50х70) и антибиотики. 23.01.2026 - чистка раны солевым раствором, наложение повязки с лекарством (септо-спрей, Повязка мазевая Исполнение-Д4 50х70). 26.01.2026 - чистка раны солевым раствором, наложение повязки с лекарством (септо-спрей, Повязка мазевая Исполнение-Д4 50х70). 29.01.2026 - чистка раны солевым раствором, наложение повязки с лекарством (септо-спрей, Повязка мазевая Исполнение-Д4 50х70) и антибиотики. 30.01.2026 - антибиотики. 31.01.2026 - чистка раны солевым раствором, наложение повязки с лекарством (септо-спрей, бранолинд) и антибиотики. 01.02.2026 - антибиотики. 02.02.2026 - чистка раны солевым раствором, наложение повязки с лекарством (септо-спрей, бранолинд) и антибиотики. 03.02.2026 - чистка раны солевым раствором, наложение повязки с лекарством (септо-спрей, бранолинд). 04.02.2026 - чистка раны солевым раствором, наложение повязки с лекарством (септо-спрей, бранолинд). 06.02.2026 - чистка раны солевым раствором, наложение повязки с лекарством (септо-спрей, ихтиоловая мазь). 07.02.2026 - чистка раны солевым раствором, наложение повязки с лекарством (септо-спрей, бранолинд). 09.02.2026 - чистка раны солевым раствором, наложение повязки с лекарством (септо-спрей, бранолинд). 11.02.2026 - чистка раны солевым раствором, наложение повязки с лекарством (септо-спрей, бранолинд). 12.02.2026 - чистка раны солевым раствором, наложение повязки с лекарством (септо-спрей, бранолинд). 14.02.2026 - чистка раны солевым раствором, наложение повязки с лекарством (септо-спрей, бранолинд). 15.02.2026 - чистка раны солевым раствором, наложение повязки с лекарством (септо-спрей, Повязка мазевая Исполнение-Д4 50х70). 17.02.2026 - чистка раны солевым раствором, наложение повязки с лекарством (септо-спрей, Повязка мазевая Исполнение-Д4 50х70). 19.02.2026 - чистка раны солевым раствором, наложение повязки с лекарством (септо-спрей, Повязка мазевая Исполнение-Д4 50х70). 20.02.2026 - чистка раны солевым раствором, наложение повязки с лекарством (септо-спрей, ихтиоловая мазь). 22.02.2026 - чистка раны солевым раствором, наложение повязки с лекарством (септо-спрей, ихтиоловая мазь). 24.02.2026 - чистка раны солевым раствором, наложение повязки с лекарством (септо-спрей, ихтиоловая мазь). 26.02.2026 - чистка раны солевым раствором, наложение повязки с лекарством (септо-спрей, ихтиоловая мазь). 28.02.2026 - чистка раны солевым раствором, наложение повязки с лекарством (септо-спрей, ихтиоловая мазь). 02.03.2026 - чистка раны солевым раствором, наложение повязки с лекарством (септо-спрей, ихтиоловая мазь). 03.03.2026 - чистка раны солевым раствором, наложение повязки с лекарством (септо-спрей, ихтиоловая мазь). 04.03.2026 - чистка раны солевым раствором, наложение повязки с лекарством (септо-спрей, ихтиоловая мазь). 06.03.2026 - чистка раны солевым раствором, наложение повязки с лекарством (септо-спрей, ихтиоловая мазь). 07.03.2026 - чистка раны солевым раствором, наложение повязки с лекарством (септо-спрей, ихтиоловая мазь). 08.03.2026 - чистка раны солевым раствором, наложение повязки с лекарством (септо-спрей, ихтиоловая мазь). 10.03.2026 - чистка раны солевым раствором, наложение повязки с лекарством (септо-спрей, ихтиоловая мазь). 12.03.2026 - чистка раны солевым раствором, наложение повязки с лекарством (септо-спрей, ихтиоловая мазь). 14.03.2026 - чистка раны солевым раствором, наложение повязки с лекарством (йод и солевой раствор, ихтиоловая мазь). 16.03.2026 - чистка раны солевым раствором, наложение повязки с лекарством (йод и солевой раствор, ихтиоловая мазь) и антибиотики. 17.03.2026 - антибиотики. 18.03.2026 - чистка раны солевым раствором, наложение повязки с лекарством (йод и солевой раствор, ихтиоловая мазь) и антибиотики. 19.03.2026 - глистогонка "Дирофен". 20.03.2026 - чистка раны солевым раствором, наложение повязки с лекарством (йод и солевой раствор, ихтиоловая мазь) и антибиотики. 22.03.2026 - чистка раны солевым раствором, наложение повязки с лекарством (йод и солевой раствор, ихтиоловая мазь). 24.03.2026 - чистка раны солевым раствором, наложение повязки с лекарством (йод и солевой раствор, ихтиоловая мазь). 26.03.2026 - чистка раны солевым раствором, наложение повязки с лекарством (йод и солевой раствор, Повязка мазевая Исполнение-Д4 50х70) и антибиотики. 27.03.2026 - антибиотики. 28.03.2026 - чистка раны солевым раствором, наложение повязки с лекарством (йод и солевой раствор, Повязка мазевая Исполнение-Д4 50х70) и антибиотики. 29.03.2026 - антибиотик 30.03.2026 - чистка раны солевым раствором, наложение повязки с лекарством (йод и солевой раствор, Повязка мазевая Исполнение-Д4 50х70) и антибиотики. 31.03.2026 - антибиотик 01.04.2026 - чистка раны солевым раствором, наложение повязки с лекарством (йод и солевой раствор, Повязка мазевая Исполнение-Д4 50х70). 04.04.2026 - чистка раны солевым раствором, наложение повязки с лекарством (йод и солевой раствор, ихтиоловая мазь). 06.04.2026 - чистка раны солевым раствором, наложение повязки с лекарством (йод и солевой раствор, Повязка мазевая Исполнение-Д4 50х70). 08.04.2026 - чистка раны солевым раствором, наложение повязки с лекарством (йод и солевой раствор, Повязка мазевая Исполнение-Д4 50х70). 10.04.2026 - чистка раны солевым раствором, наложение повязки с лекарством (йод и солевой раствор, Повязка мазевая Исполнение-Д4 50х70). 12.04.2026 - чистка раны солевым раствором, наложение повязки с лекарством (йод и солевой раствор, Повязка мазевая Исполнение-Д4 50х70). 14.04.2026 - чистка раны солевым раствором, наложение повязки с лекарством (йод и солевой раствор, Повязка мазевая Исполнение-Д4 50х70), глистогонка "Дирофен" и антибиотик (Кладакса). Заметно перестаёт кушать. 15.04.2026 - антибиотик (Кладакса). Плохо ест сам. 16.04.2026 - чистка раны солевым раствором, наложение повязки с лекарством (йод и солевой раствор, Повязка мазевая Исполнение-Д4 50х70) и антибиотик (Кладакса). 17.04.2026 - антибиотик (Кладакса). Ест только рыбку. 18.04.2026 - чистка раны солевым раствором, наложение повязки с лекарством (йод и солевой раствор, Повязка мазевая Исполнение-Д4 50х70) и антибиотик (Кладакса). 20.04.2026 - чистка раны солевым раствором, наложение повязки с лекарством (йод и солевой раствор, Повязка мазевая Исполнение-Д4 50х70). Принудительное кормление паштетом, пьёт сам. 22.04.2026 - чистка раны солевым раствором, наложение повязки с лекарством (йод и солевой раствор, Повязка мазевая Исполнение-Д4 50х70). Принудительное кормление паштетом, пьёт сам. 24.04.2026 - чистка раны солевым раствором, наложение повязки с лекарством (йод и солевой раствор, Повязка мазевая Исполнение-Д4 50х70). Принудительное кормление паштетом, пьёт сам. 26.04.2026 - чистка раны солевым раствором, наложение повязки с лекарством (мазь стрептоцид и солевой раствор, Повязка мазевая Исполнение-Д4 50х70). Принудительное кормление паштетом и водой. 28.04.2026 - чистка раны солевым раствором, наложение повязки с лекарством (мазь стрептоцид и солевой раствор, Повязка мазевая Исполнение-Д4 50х70). Принудительное кормление паштетом и водой. 30.04.2026 - чистка раны солевым раствором, наложение повязки с лекарством (йод и солевой раствор, ихтиоловая мазь). Принудительное кормление паштетом и водой. Обращение в ветклинику "ЭМИЛИ". 01.05.2026 - Обращение в ветклинику "ЭМИЛИ" - диагноз ФИП, откачка 300 мл жидкости из брюшной полости. Капельница и приём Коронакэт. 02.05.2026 - смерть. |
| Кормление | Сухой и влажный корм Purina ONE, питьевая вода, вареная куриная колбаса. |
| Цвет глаз | Жёлто-зелёный |
| Цвет тела | Чёрно-белый |
| Вес/Масса тела | 2.68 кг 28.12.2025 3.20 кг 04.01.2026 2.85 кг 01.05.2026 |
| Город | Жлобин |
| Страна | Республика Беларусь |
| Поисковые данные | |
| Дата обнаружения | 28.12.2025 |
| Родовые данные | |
| Вид животного | Кошка |
| Пол | Мужской/Самец |
| Порода | Нет данных |
Потрачено на животное BYN:
110.6 - лечение в "КОТоПЁС" 28.12.2025 (перевязка 13.50, консультация с рекомендациями 20, рентген 40, уколы, первичный приём 20)
56 - лечение в "КОТоПЁС" 29.12.2025 (перевязка 13.50, консультация с рекомендациями 20, уколы)
5 - лечение со скидкой в "Эмили" 31.12.2025
53.5 - лечение в "КОТоПЁС" 04.01.2025 (перевязка 13.50, консультация с рекомендациями 20, рентген 20)
33.5 - лечение в "КОТоПЁС" 10.01.2025 (перевязка 13.50, консультация с рекомендациями 20)
15.0 - лечение в "ЭМИЛИ" 30.04.2026 (консультация с рекомендациями)
23.0 - лечение в "ЭМИЛИ" 01.05.2026 (консультация с рекомендациями, откачка брюшной жидкости, уколы)
3.33 - Цианокобаламин 5 мл.
28 - Гепаветариум 400 мг.
125 - Коронакэт (GS-441524) 20 мл.
122.5 - повязка мазевая "Бранолинд" 5 уп.
49.84 - повязка мазевая "Исполнение-Д4 50х70" 14 уп.
27.9 - Септо-спрей с йодом 2 шт.
7.2 - таблетки "Кладакса 200/50" 3 таб.
19.5 - таблетки "Кладакса 200/50" 5 таб.
4 - таблетки "Кладакса 200/50" 2 таб.
77.35 - таблетки "Марфлоксин" для собак 13 таб.
18.4 - таблетки "Диронет" от глистов 1 таб.
2.3 - таблетки "Дирофен" от глистов 1 таб.
18.72 - солевой раствор "Натрия хлорид 0.9 % 1000 мл" 4 л.
7.14 - солевой раствор "Натрия хлорид 0.9 % 500 мл" 1 л.
0.47 - шприц 20 мл.
9.52 - бинт нестерильный 28х0.1 м.
3.40 - бинт нестерильный 10х0.05 м.
2.79 - бинт нестерильный 21х0.05 м.
1.32 - бинт нестерильный 10х0.05 м.
3.52 - бинт стерильный фиксирующий 10х0.1 м.
2.83 - бинт стерильный 7х0.14 м.
17.36 - бинт стерильный 70х0.1 м.
3.18 - бинт нестерильный фиксирующий 14х0.1 м.
2.22 - бинт нестерильный фиксирующий 10х0.1 м.
14.13 - бинт стерильный 45х0.1 м.
1.91 - бинт нестерильный фиксирующий 7х0.1 м.
3.89 - мазь ИХТИОЛ 20% 2 шт. по 25 г.
8.29 - Royal Canin Recovery 1 шт.
13.30 - Royal Canin Babycat 2 шт.
310 - 10 (стандарт) + 300 (влажный корм) еда за 4 месяца
X+ - наполнитель, салфетки, стирка белья, транспорт, жильё, зарплата работника
Задонатили на животное BYN: 0
- Регистрационный номер: 52
- Дата добавления: 30.12.2025 09:00:05
- Дата обновления: 02.05.2026 12:31:40
- Просмотров (без учёта IP): 557
Похожие объявления
В начале октября 202..
Очередные демоны выб..
Рекомендуем
Хозяева не стали леч..
01.07.2025 дети нашл..
Если понравился, зво..
Очередные демоны выб..
Рекомендуем почитать
К сожалению многие не смогут оградить животных от таких страшных вирусов как RABV, FCV, FCoV, H5N8, FIP, FECV, FIV, FeLV, FPV. Можно надеяться, то..

















